Ben Eby

403-540-2993

Re/Max Mountain View

201 - 4600 Crowchild Tr. NW.,
Calgary. AB T3A 2L6

Data was last updated 2026-05-19 at 06:24:14 PDT

Description

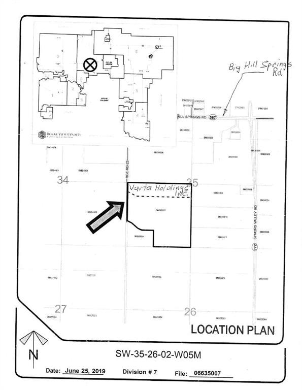
33 Acres suitable for building your dream home. Mountain View from the property. Electricity located at approach to property. Land is presently leased out. Listing offers sale of the Corporation, land is in Corporation Name, just need to change directors, but can be purchased without corporation. Rezoning needs to be done through the municipality of Rockyview.

Listing Provided By

Real Broker

Copyright and Disclaimer

The data relating to real estate on this web site comes in part from the MLS® Reciprocity program of the Calgary Real Estate Board (CREB®). This information is deemed reliable but is not guaranteed accurate by the CREB®.

Property Details


MLS®#
A2224312
Type:
Residential Land
Lot Size Area:
1,437,920 sq.ft.
Real Estate Listing
Provided by:
 Real Estate Listing provided by
  • Ben Eby
  • Phone: 403-247-5171
  • Mobile: 403-540-2993
  • Fax: 403-247-5171
  • Re/Max Mountain View
  • 201, 4600 Crowchild Tr. NW.
  • Calgary, AB
  • T3A 2L6